ভিডিও
আর্কাইভ
সব বিভাগ
বাংলা কনভার্টার
সোশ্যাল মিডিয়া
গাজায় ঘূর্ণিঝড়ের তাণ্ডবে ১৪ জনের প্রাণহানি
১৩ ডিসেম্বর ২০২৫, ০৯:১০
ঘূর্ণিঝড় দিতওয়ারে শ্রীলঙ্কায় মৃতের সংখ্যা বেড়ে ৪১০, নিখোঁজ ৩৩৬
০৩ ডিসেম্বর ২০২৫, ১১:৪৪
ঘূর্ণিঝড় ‘ডিটওয়াহ’র তাণ্ডবে শ্রীলংকায় নিহত ২১২, নিখোঁজ ২১৮
০১ ডিসেম্বর ২০২৫, ১০:১৪
ঘূর্ণিঝড় ‘ডিটওয়াহ’ নিয়ে ৫ দিনের পূর্বাভাস
রাজধানী ঢাকাসহ সারাদেশে আগামী পাঁচ দিনের তাপমাত্রা কেমন থাকতে পারে, সে বিষয়ে বিস্তারিত পূর্বাভাস দিয়েছে বাংলাদেশ আবহাওয়া অধিদপ্তর। শনিবার (২৯ ...
৩০ নভেম্বর ২০২৫, ১০:৩৩
বাংলাদেশের উপকূলে নতুন ঘূর্ণিঝড়ের আশঙ্কা
বাংলাদেশের উপকূলে নতুন ঘূর্ণিঝড়ের সম্ভাবনা দেখা দিয়েছে। সাগরে সৃষ্ট একটি লঘুচাপ আগামী কয়েক দিনের মধ্যে নিম্নচাপ, তারপর গভীর নিম্নচাপ হয়ে ...
২২ নভেম্বর ২০২৫, ১৯:১২
সিডরে একাই ৫ হাজার মানুষের জীবন বাঁচিয়েছিলেন সিডরম্যান
২০০৭ সালের প্রলয়ঙ্কারী ঘূর্ণিঝড় সিডর আঘাত হানার আগে বরগুনার উপকূলে ঘূর্ণিঝড়ের পূর্বাভাস প্রচার করে পাঁচ হাজারেরও বেশি মানুষের জীবন বাঁচিয়েছিলেন ...
১৫ নভেম্বর ২০২৫, ০৮:২২
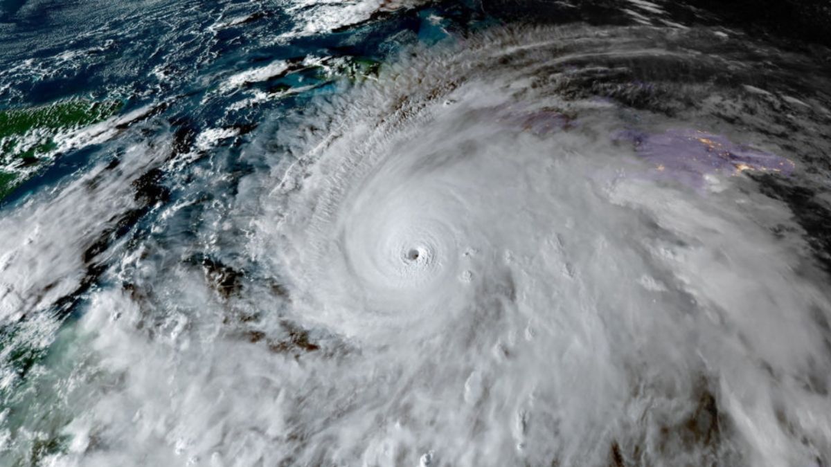
জ্যামাইকায় তাণ্ডবের পর কিউবায় ধেয়ে যাচ্ছে হারিকেন মেলিসা
প্রবল শক্তি নিয়ে ক্যারিবীয় দ্বীপপুঞ্জে তাণ্ডব চালাচ্ছে হারিকেন মেলিসা। জ্যামাইকায় ধ্বংসযজ্ঞের পর এখন কিউবার দিকে অগ্রসর হচ্ছে, ইতোমধ্যে সেখান থেকে ...
২৯ অক্টোবর ২০২৫, ০৯:২৩
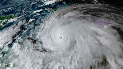
বছরের সবচেয়ে শক্তিশালী ঘূর্ণিঝড় আঘাত হানতে যাচ্ছে জ্যামাইকায়
এ বছরের মধ্যে বিশ্বের সবচেয়ে শক্তিশালী ঘূর্ণিঝড়টি আঘাত হানতে যাচ্ছে জ্যামাইকা উপকূলে। এখন পর্যন্ত সেখানে তিন জনের মৃত্যু হয়েছে। এর ...
২৮ অক্টোবর ২০২৫, ১২:০০
সব খবর
বাংলাদেশের খবর কর্তৃক সর্বস্বত্ব স্বত্বাধিকার সংরক্ষিত